Today's e-paper
ਦਿੱਲੀ ਧਰਨੇ ਤੋਂ ਪਹਿਲਾਂ 12 ਕਿਸਾਨ ਨੇਤਾਵਾਂ ਨੂੰ ਕੀਤਾ ਗ੍ਰਿਫ਼ਤਾਰ, ਪੁਲਿਸ ਬੋਲੀ ਉੱਪਰ ਤੋਂ ਆਰਡਰ
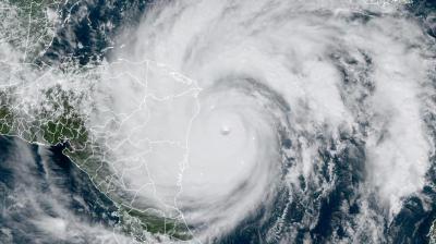
ਅਗਲੇ 24 ਘੰਟਿਆਂ ਵਿਚ ਭਿਆਨਕ ਰੂਪ ਲੈ ਸਕਦਾ ਹੈ ਚੱਕਰਵਾਤੀ ਤੂਫਾਨ Nivar, ਚੇਨਈ ਵਿਚ ਭਾਰੀ ਮੀਂਹ
2026-02-26 07:25:05
ਪੁਲਿਸ ਕਤਲਕਾਂਡ ‘ਚ ਮਾਸਟਰਮਾਈਂਡ ਰਣਜੀਤ ਸਿੰਘ ਦੇ ਐਨਕਾਊਂਟਰ ‘ਤੇ ਪਰਿਵਾਰ ਨੇ ਚੁੱਕੇ ਸਵਾਲ
2027 ਵਿਧਾਨ ਸਭਾ ਚੋਣਾਂ ਲਈ ਸਾਰੀਆਂ ਪਾਰਟੀਆਂ ਪੱਬਾਂ ਭਾਰ, 14 ਮਾਰਚ ਨੂੰ ਮੋਗਾ 'ਚ ਕੇਂਦਰੀ ਗ੍ਰਹਿ ਮੰਤਰੀ ਅਮਿਤ ਸ਼ਾਹ...
'ਭਾਜਪਾ ਵੱਲੋਂ ਮੋਗਾ 'ਚ 14 ਮਾਰਚ ਨੂੰ ਕੀਤੀ ਜਾਵੇਗੀ ਬਦਲਾਅ ਰੈਲੀ'
ਸਰਕਾਰ ਦੀ ਸ਼ਹਿ ‘ਤੇ ਵਿੱਕ ਰਿਹਾ ਨਸ਼ਾ, ਨਸ਼ੇ ਦੇ ਮੁੱਦੇ ‘ਤੇ ਪੰਜਾਬ ਸਰਕਾਰ ਦਾ ਹਰਿਆਣਾ ‘ਤੇ ਵੱਡਾ ਇਲਜ਼ਾਮ
'ਮੈਂ ਹੈਰਾਨ ਹਾਂ, Chandigarh ਦੇ ਸੈਕਟਰ 32 Hospital ਦਾ ਸਾਢੇ 500 ਕਰੋੜ ਦਾ ਬਜਟ, ਪਰ ਸੁਵਿਧਾਵਾਂ ਬਿਲਕੁਲ ਜ਼ੀਰੋ'
More Videos
© 2017 - 2026 Rozana Spokesman
Developed & Maintained By Daksham